Официальное опубликование правовых актов
ОФИЦИАЛЬНОЕ ОПУБЛИКОВАНИЕ
Распоряжение Правительства Самарской области от 07.08.2019 № 742-р
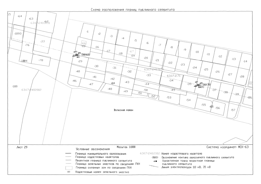
"Об установлении публичного сервитута в отношении земельных участков, расположенных на территории Самарской области, в целях размещения объекта регионального значения – объекта электросетевого хозяйства"
Номер опубликования: 6300201908130005
Дата опубликования: 13.08.2019
Страница №39 из 61:
Увеличить