Постановление Главного управления архитектуры и градостроительства Рязанской области от 28.02.2020 № 111-п
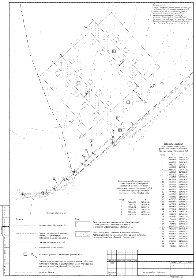
"Об утверждении проекта планировки, проекта межевания территории для объекта "Обустройство объектами инженерной инфраструктуры и благоустройство площадки под комплексную жилищную застройку из 20-ти индивидуальных жилых домов в с. Благие Александро-Невского района Рязанской области. Наружное электроснабжение. Наружное водоснабжение. Наружное газоснабжение. Уличные автомобильные дороги. Благоустройство территории (озеленение)"
"Об утверждении проекта планировки, проекта межевания территории для объекта "Обустройство объектами инженерной инфраструктуры и благоустройство площадки под комплексную жилищную застройку из 20-ти индивидуальных жилых домов в с. Благие Александро-Невского района Рязанской области. Наружное электроснабжение. Наружное водоснабжение. Наружное газоснабжение. Уличные автомобильные дороги. Благоустройство территории (озеленение)"
Номер опубликования: 6201202003050012
Дата опубликования:
05.03.2020
