Официальное опубликование правовых актов
ОФИЦИАЛЬНОЕ ОПУБЛИКОВАНИЕ
Постановление Главного управления архитектуры и градостроительства Рязанской области от 04.12.2019 № 406-п
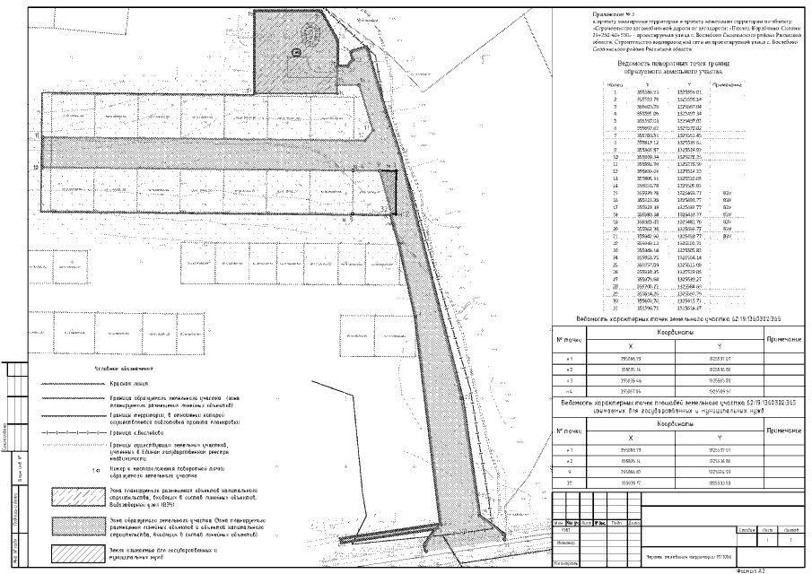
"Об утверждении проекта планировки территории и проекта межевания территории по объекту: "Строительство автомобильной дороги от автодороги: "Пехлец-Кораблино-Скопин 29+250-40+550" - проектируемая улица с. Вослебово Скопинского района Рязанской области. Строительство водопроводной сети на проектируемой улице с. Вослебово Скопинского района Рязанской области"
Номер опубликования: 6201201912060032
Дата опубликования: 06.12.2019
Страница №22 из 22:
Увеличить