Постановление Министерства культуры Ростовской области от 01.11.2017 № 23/01-01/591
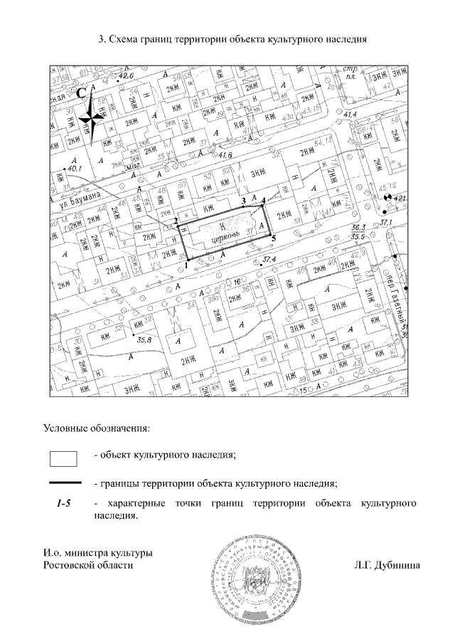
"Об утверждении границ территории объекта культурного наследия регионального значения "Старообрядческий Покрово-Ильинский собор, построенный на средства Н.А. Панина, 1913 г., арх. В.А. Покровский"
"Об утверждении границ территории объекта культурного наследия регионального значения "Старообрядческий Покрово-Ильинский собор, построенный на средства Н.А. Панина, 1913 г., арх. В.А. Покровский"
Номер опубликования: 6101201711030009
Дата опубликования:
03.11.2017
