Постановление Министерства культуры Ростовской области от 01.11.2017 № 23/01-01/587
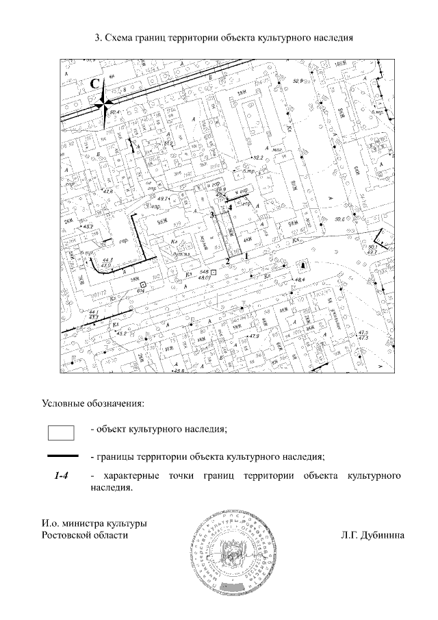
"Об утверждении границ территории объекта культурного наследия регионального значения "Доходный дом А.А. Домбровского, кон. ХIХ – нач. ХХ вв."
"Об утверждении границ территории объекта культурного наследия регионального значения "Доходный дом А.А. Домбровского, кон. ХIХ – нач. ХХ вв."
Номер опубликования: 6101201711030008
Дата опубликования:
03.11.2017
