Официальное опубликование правовых актов
ОФИЦИАЛЬНОЕ ОПУБЛИКОВАНИЕ
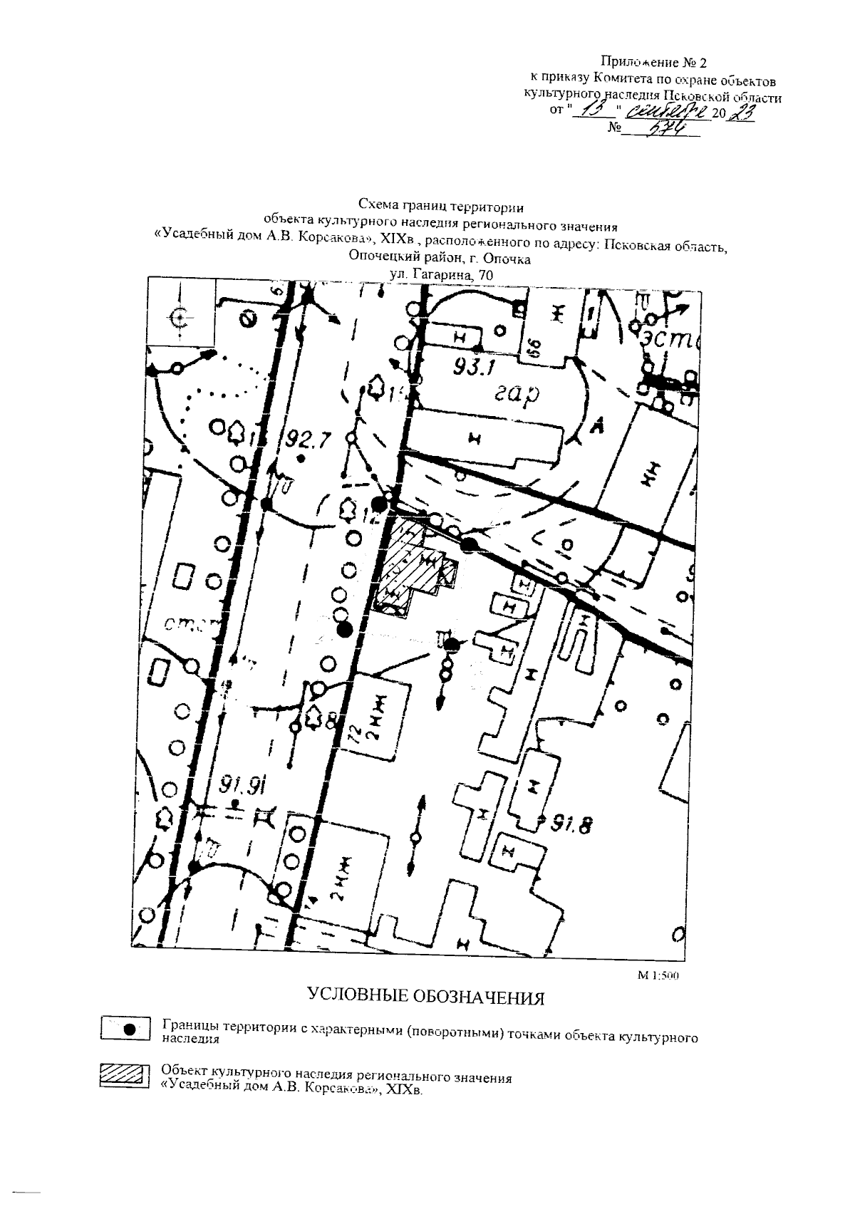
Приказ Комитета по охране объектов культурного наследия Псковской области от 13.09.2023 № 574
"Об утверждении границ территории объекта культурного наследия регионального значения "Усадебный дом А.В.Корсакова", XIX в., расположенного по адресу: Псковская область, Опочецкий район, г. Опочка, ул. Гагарина, 70"
(Зарегистрирован 14.09.2023 № 428)
Номер опубликования: 6001202309190008
Дата опубликования: 19.09.2023
Страница №6 из 8:
Увеличить