Официальное опубликование правовых актов
ОФИЦИАЛЬНОЕ ОПУБЛИКОВАНИЕ
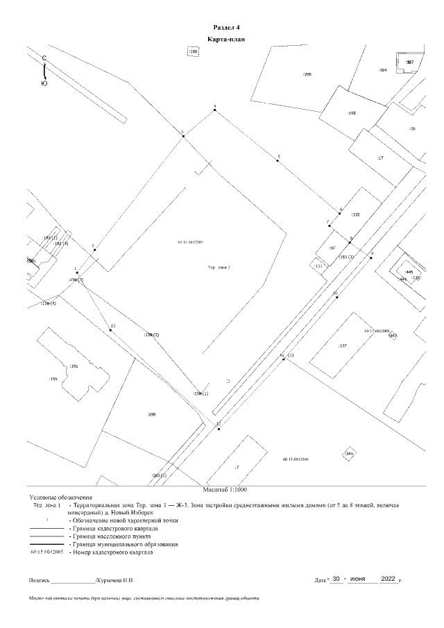
Приказ Комитета по управлению государственным имуществом Псковской области от 29.09.2022 № 5158
"О внесении изменений в Правила землепользования и застройки муниципального образования "Новоизборская волость" Печорского района Псковской области"
Номер опубликования: 6001202210030007
Дата опубликования: 03.10.2022
Страница №842 из 997: