Официальное опубликование правовых актов
ОФИЦИАЛЬНОЕ ОПУБЛИКОВАНИЕ
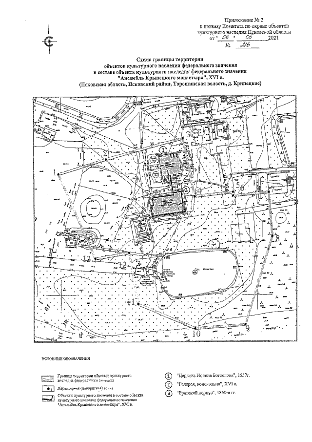
Приказ Комитета по охране объектов культурного наследия Псковской области от 06.05.2021 № 216
"О внесении изменений в приказ Государственного комитета Псковской области по охране объектов культурного наследия от 14.03.2014 № 154 "Об утверждении границы территории объекта культурного наследия федерального значения "Ансамбль Крыпецкого монастыря, XVI в.: Церковь Иоанна Богослова, Галерея, колокольня, Братский корпус", расположенного по адресу: Псковская область, Псковский район, в 11 км от станции Торошино"
Номер опубликования: 6001202105110002
Дата опубликования: 11.05.2021
Страница №7 из 9:
Увеличить