Официальное опубликование правовых актов
ОФИЦИАЛЬНОЕ ОПУБЛИКОВАНИЕ
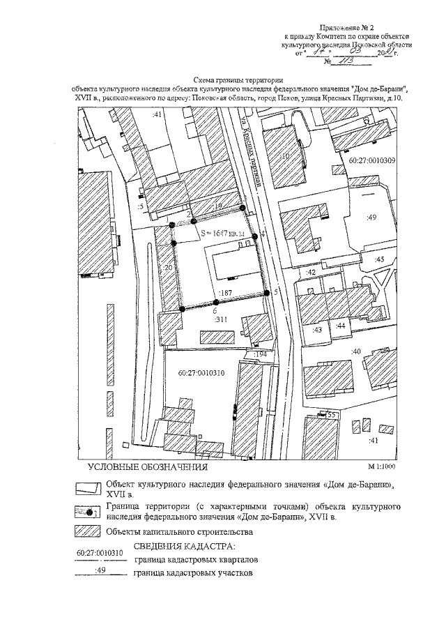
Приказ Комитета по охране объектов культурного наследия Псковской области от 17.03.2021 № 113
"О внесении изменений в приказ Государственного комитета Псковской области по охране объектов культурного наследия от 24.12.2014 № 816 "Об утверждении границы территории объекта культурного наследия федерального значения "Дом де-Барани", XVII в., расположенного по адресу: Псковская область, г. Псков, ул. Красных партизан (уточненный адрес: г. Псков, ул. Красных партизан, 10)"
Номер опубликования: 6001202103240004
Дата опубликования: 24.03.2021
Страница №6 из 6:
Увеличить