Официальное опубликование правовых актов
ОФИЦИАЛЬНОЕ ОПУБЛИКОВАНИЕ
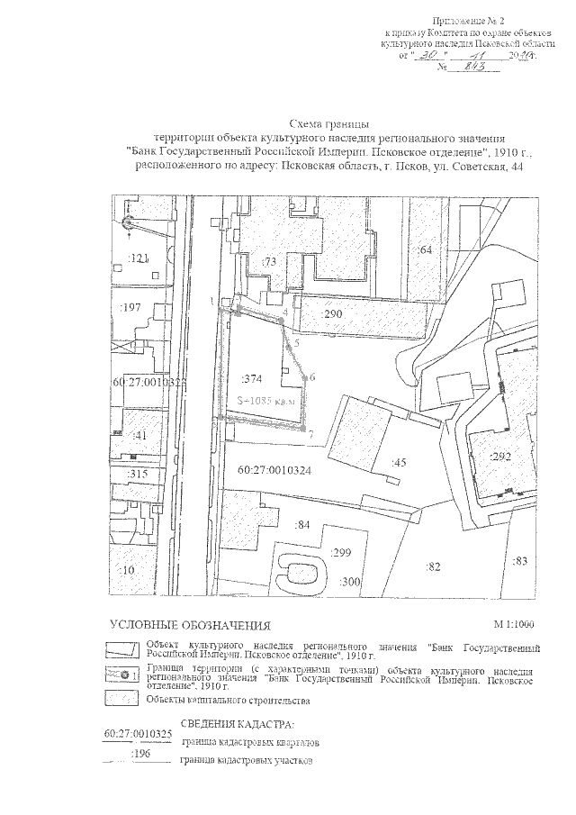
Приказ Комитета по охране объектов культурного наследия Псковской области от 30.11.2020 № 843
"Об утверждении границы территории объекта культурного наследия регионального значения "Банк Государственный Российской Империи. Псковское отделение", 1910 г., расположенного по адресу: Псковская область, г. Псков, ул. Советская, 44"
Номер опубликования: 6001202012010006
Дата опубликования: 01.12.2020
Страница №5 из 6:
Увеличить