Официальное опубликование правовых актов
ОФИЦИАЛЬНОЕ ОПУБЛИКОВАНИЕ
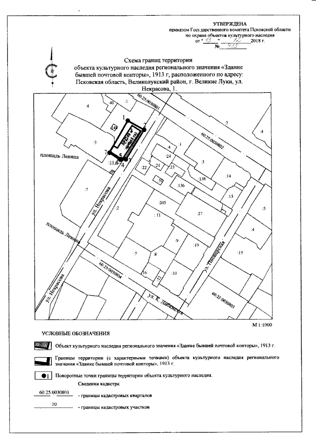
Приказ Государственного комитета Псковской области по охране объектов культурного наследия от 13.12.2018 № 435 "Об утверждении границы территории объекта культурного наследия регионального значения "Здание бывшей почтовой конторы", 1913 г., расположенного по адресу: Псковская область, Великолукский район, г. Великие Луки, ул. Некрасова, 1"
Номер опубликования: 6001201812200038
Дата опубликования: 20.12.2018
Страница №4 из 5:
Увеличить