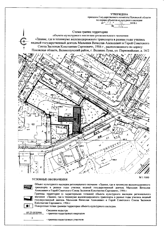
Приказ Государственного комитета Псковской области по охране объектов культурного наследия от 13.12.2018 № 436 "Об утверждении границы территории объекта культурного наследия регионального значения "Здание, где в техникуме железнодорожного транспорта в разные годы учились видный государственный деятель Малышев Вячеслав Алексеевич и Герой Советского Союза Заслонов Константин Сергеевич", 1906 г., расположенного по адресу: Псковская область, Великолукский район, г. Великие Луки, ул. Первомайская, д. 16/2"
Номер опубликования: 6001201812200008
Дата опубликования:
20.12.2018
