Официальное опубликование правовых актов
ОФИЦИАЛЬНОЕ ОПУБЛИКОВАНИЕ
Постановление Администрации Псковской области от 17.10.2016 № 339
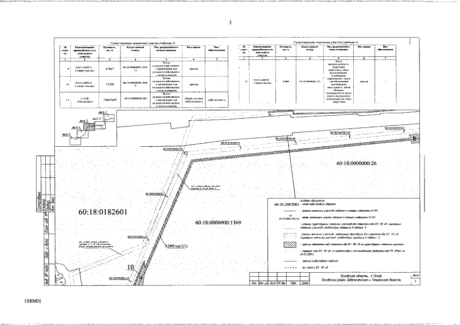
"Об утверждении Проекта планировки территории, содержащего проект межевания территории, для размещения объекта регионального значения "ВЛ-110 кВ между ПС 110 кВ "Завеличье" и ПС 330 кВ "Великорецкая" (инвестиционный проект № 004-73-2-01.12-0001)"
Номер опубликования: 6000201610210011
Дата опубликования: 21.10.2016
Страница №29 из 31:
Увеличить