Официальное опубликование правовых актов
ОФИЦИАЛЬНОЕ ОПУБЛИКОВАНИЕ
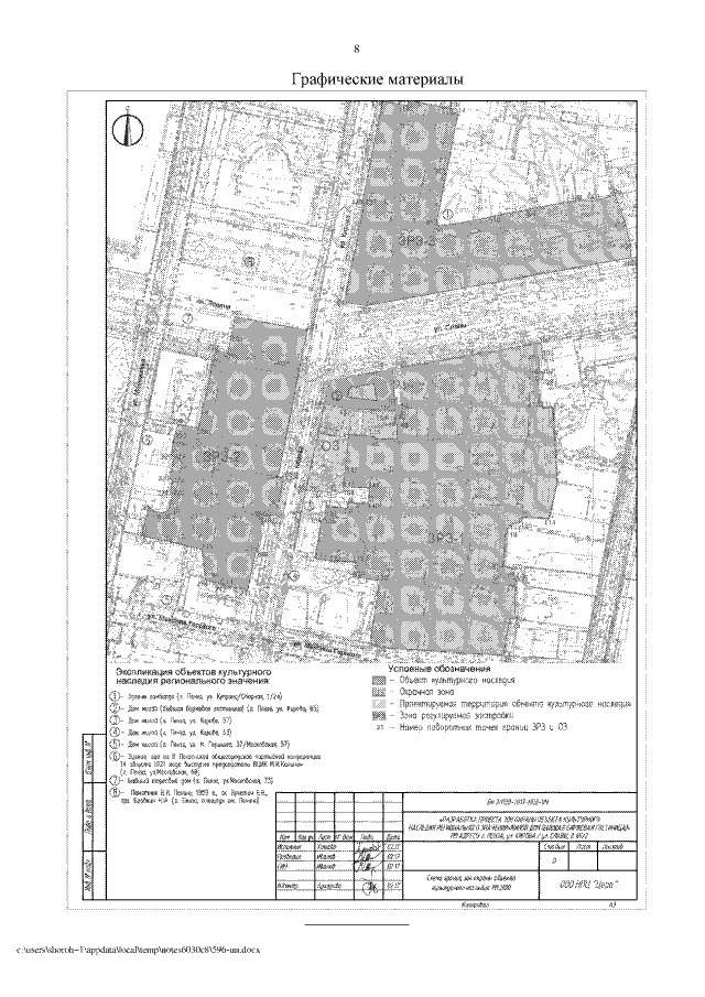
Постановление Правительства Пензенской области от 11.12.2017 № 596-пП
"Об утверждении границ зон охраны, режимов использования земель и градостроительных регламентов в границах данных зон объекта культурного наследия регионального значения "Жилой дом (бывшая биржевая гостиница)" (Пензенская область, г. Пенза, ул. Кирова, 65)"
Номер опубликования: 5800201712130006
Дата опубликования: 13.12.2017
Страница №10 из 16:
Увеличить