Приказ Управления по государственной охране объектов культурного наследия Орловской области от 02.09.2025 № 150
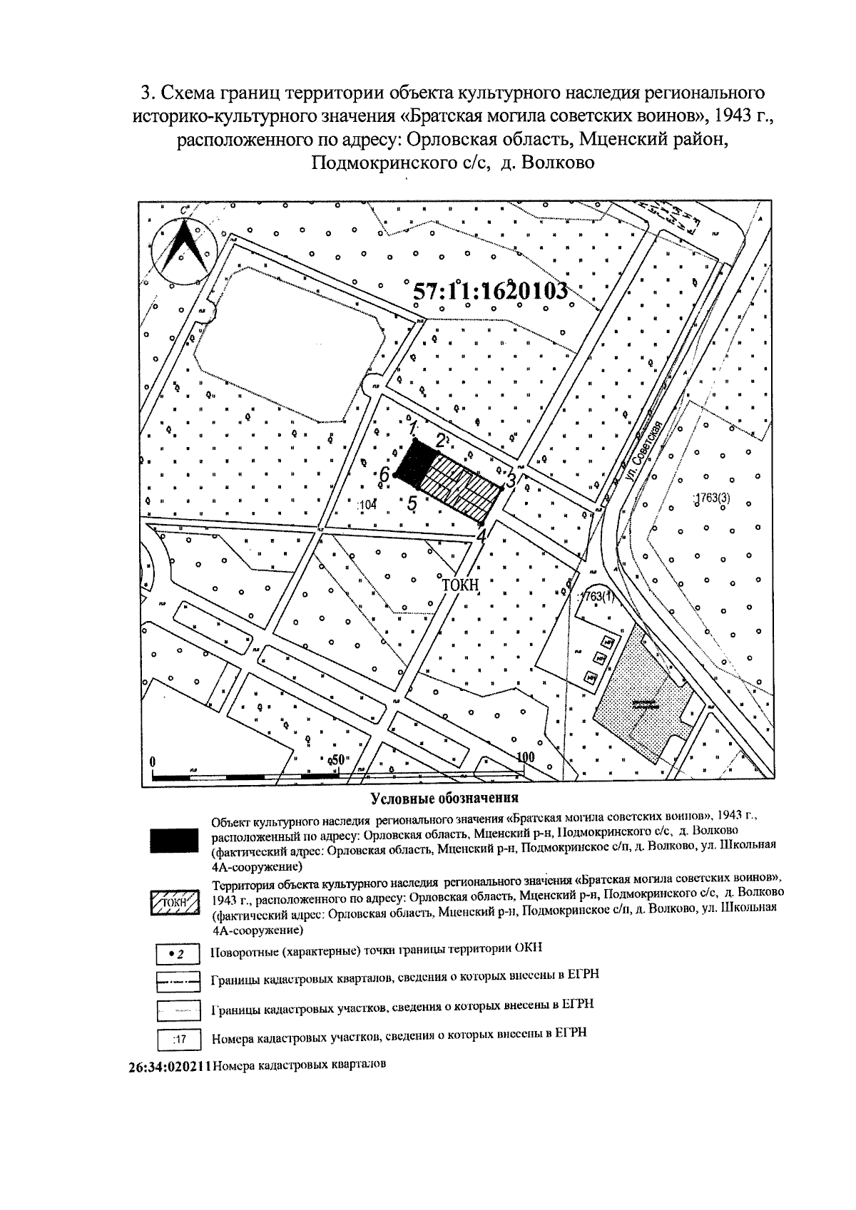
"Об утверждении границ территории и правового режима использования территории объекта культурного наследия регионального историко-культурного значения "Братская могила советских воинов", 1943 г., расположенного по адресу: Орловская область, Мценский район, Подмокринского с/с, д. Волково"
(Зарегистрирован 04.09.2025 № 439/2025)
"Об утверждении границ территории и правового режима использования территории объекта культурного наследия регионального историко-культурного значения "Братская могила советских воинов", 1943 г., расположенного по адресу: Орловская область, Мценский район, Подмокринского с/с, д. Волково"
(Зарегистрирован 04.09.2025 № 439/2025)
Номер опубликования: 5701202509080006
Дата опубликования:
08.09.2025
