Официальное опубликование правовых актов
ОФИЦИАЛЬНОЕ ОПУБЛИКОВАНИЕ
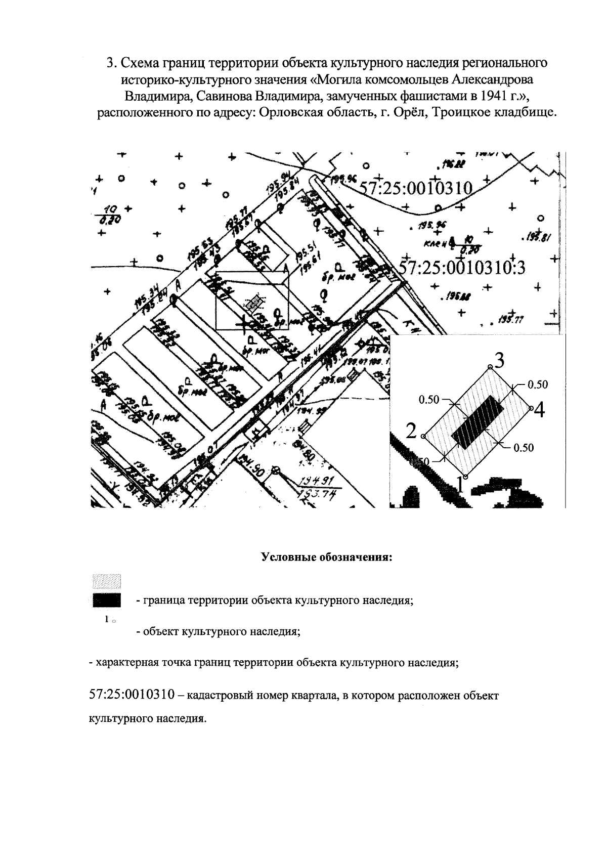
Приказ Управления по государственной охране объектов культурного наследия Орловской области от 27.08.2025 № 138
"Об утверждении границ территории и правового режима использования территории объекта культурного наследия регионального историко-культурного значения "Могила комсомольцев Александрова Владимира, Савинова Владимира, замученных фашистами в 1941 г.", расположенного по адресу: Орловская область, г. Орёл, Троицкое кладбище"
(Зарегистрирован 28.08.2025 № 415/2025)
Номер опубликования: 5701202509010001
Дата опубликования: 01.09.2025
Страница №5 из 6:
Увеличить