Официальное опубликование правовых актов
ОФИЦИАЛЬНОЕ ОПУБЛИКОВАНИЕ
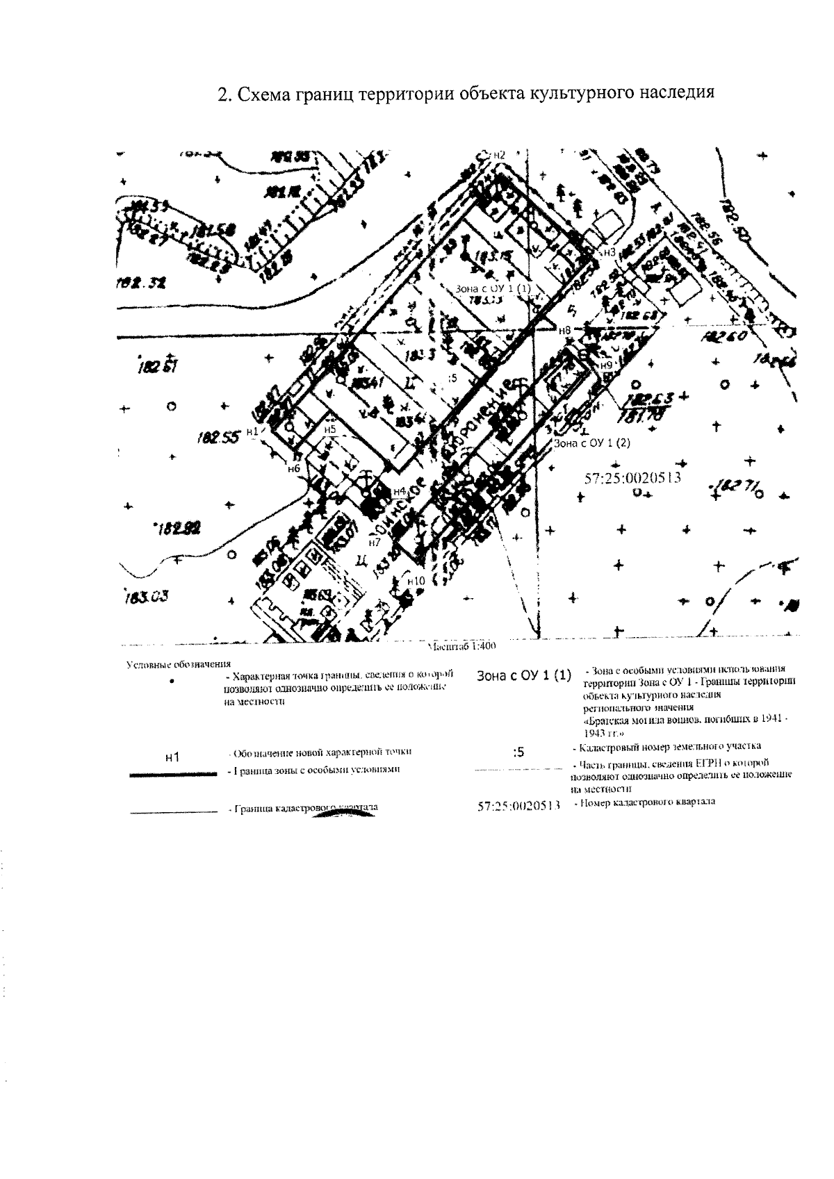
Приказ Управления по государственной охране объектов культурного наследия Орловской области от 11.10.2023 № 161
"Об утверждении границ территории и правового режима использования территории объекта культурного наследия регионального историко-культурного значения "Братская могила воинов, погибших в 1941 - 1943 гг.", расположенного по адресу: Орловская область, г. Орел, Крестительское кладбище"
(Зарегистрирован 12.10.2023 № 462/2023)
Номер опубликования: 5701202310180011
Дата опубликования: 18.10.2023
Страница №7 из 8:
Увеличить