Официальное опубликование правовых актов
ОФИЦИАЛЬНОЕ ОПУБЛИКОВАНИЕ
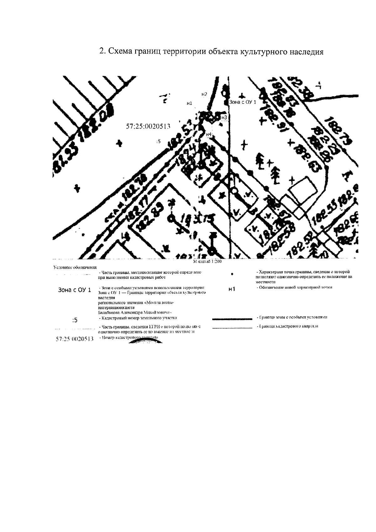
Приказ Управления по государственной охране объектов культурного наследия Орловской области от 11.10.2023 № 165
"Об утверждении границ территории и правового режима использования территории объекта культурного наследия регионального историко-культурного значения "Могила воина-интернационалиста Балабанова Александра Михайловича", 1958 - 1981 гг., расположенного по адресу: Орловская область, г. Орел, Крестительское кладбище"
(Зарегистрирован 12.10.2023 № 466/2023)
Номер опубликования: 5701202310180006
Дата опубликования: 18.10.2023
Страница №6 из 7:
Увеличить