Официальное опубликование правовых актов
ОФИЦИАЛЬНОЕ ОПУБЛИКОВАНИЕ
Приказ Управления по государственной охране объектов культурного наследия Орловской области от 01.09.2022 № 160
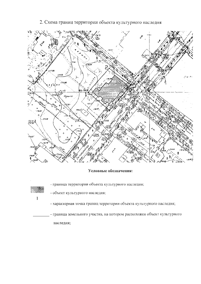
"Об утверждении границ территории и правового режима использования территории объекта культурного наследия федерального историко-культурного значения "Дом, в котором в 1831 – 1839 гг. жил писатель Лесков Николай Семенович", расположенного по адресу: Орловская область, г. Орел, ул. Октябрьская, д. 9"
(Зарегистрирован 06.09.2022 № 491/2022)
Номер опубликования: 5701202209140004
Дата опубликования: 14.09.2022
Страница №5 из 7:
Увеличить