Официальное опубликование правовых актов
ОФИЦИАЛЬНОЕ ОПУБЛИКОВАНИЕ
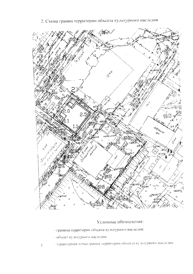
Приказ Управления по государственной охране объектов культурного наследия Орловской области от 30.08.2022 № 144
"Об утверждении границ территории и правового режима использования территории объекта культурного наследия федерального историко-культурного значения "Дом Фомичевых (дер.)", I-я четверть XIX в., расположенного по адресу: Орловская область, г. Орел, ул. Октябрьская, 34"
(Зарегистрирован 05.09.2022 № 471/2022)
Номер опубликования: 5701202209070003
Дата опубликования: 07.09.2022
Страница №5 из 7:
Увеличить