Официальное опубликование правовых актов
ОФИЦИАЛЬНОЕ ОПУБЛИКОВАНИЕ
Постановление Правительства Орловской области от 06.03.2023 № 187
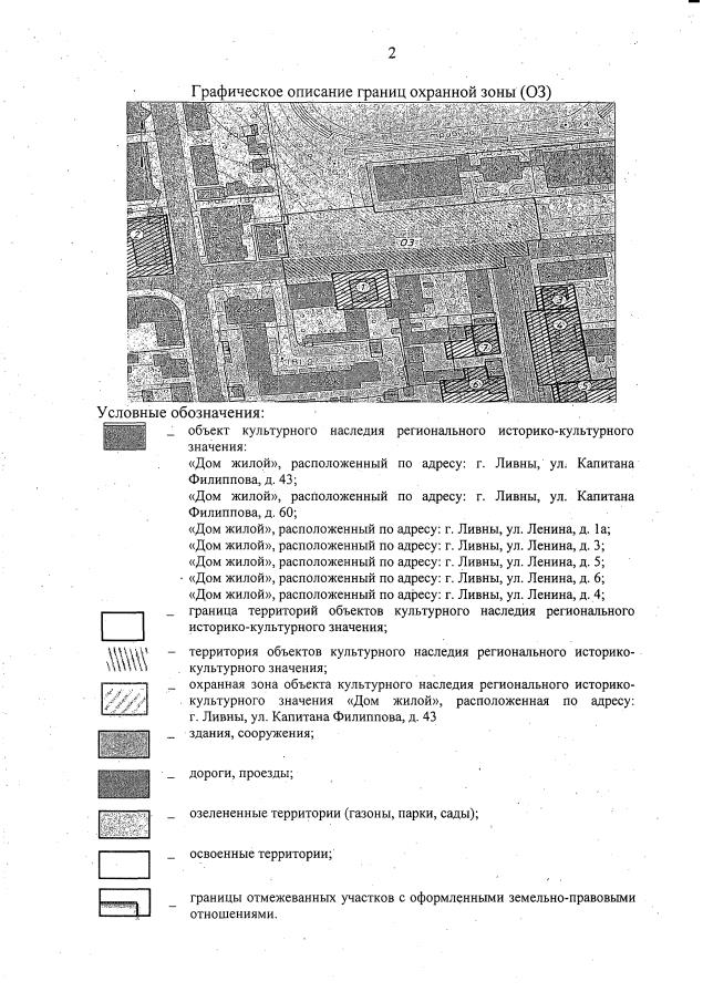
"Об установлении зон охраны объекта культурного наследия регионального историко-культурного значения "Дом жилой", расположенного по адресу: Орловская область, г. Ливны, ул. Капитана Филиппова, д. 43"
Номер опубликования: 5700202303070005
Дата опубликования: 07.03.2023
Страница №4 из 16:
Увеличить