Официальное опубликование правовых актов
ОФИЦИАЛЬНОЕ ОПУБЛИКОВАНИЕ
Постановление Правительства Орловской области от 21.02.2023 № 152
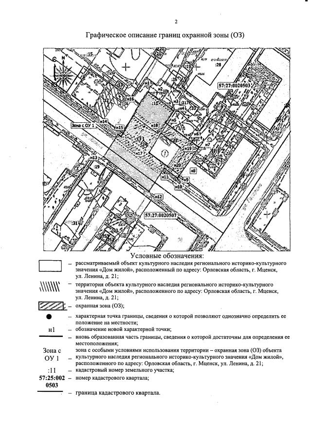
"Об установлении зон охраны объекта культурного наследия регионального историко-культурного значения "Дом жилой", XIX в., расположенного по адресу: Орловская область, г. Мценск, ул. Ленина, д. 21"
Номер опубликования: 5700202302220004
Дата опубликования: 22.02.2023
Страница №4 из 15:
Увеличить