Официальное опубликование правовых актов
ОФИЦИАЛЬНОЕ ОПУБЛИКОВАНИЕ
Постановление Правительства Орловской области от 22.12.2022 № 833
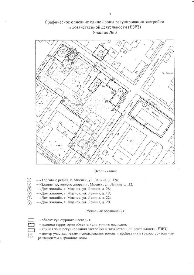
"Об установлении объединенной зоны охраны объектов культурного наследия: федерального значения "Торговые ряды", расположенного по адресу: Орловская область, г. Мценск, ул. Ленина, д. 32а, регионального значения "Дом жилой", расположенного по адресу: Орловская область, г. Мценск, ул. Ленина, д. 19, регионального значения "Дом жилой", расположенного по адресу: Орловская область, г. Мценск, ул. Ленина, д. 20, регионального значения "Дом жилой", расположенного по адресу: Орловская область, г. Мценск, ул. Ленина, д. 28, регионального значения "Здание постоялого двора", расположенного по адресу: Орловская область, г. Мценск, ул. Ленина, д. 32, местного (муниципального) значения "Дом жилой", расположенного по адресу: Орловская область, г. Мценск, ул. Ленина, д. 22"
Номер опубликования: 5700202212260008
Дата опубликования: 26.12.2022
Страница №12 из 21:
Увеличить