Официальное опубликование правовых актов
ОФИЦИАЛЬНОЕ ОПУБЛИКОВАНИЕ
Постановление Правительства Орловской области от 23.06.2022 № 344
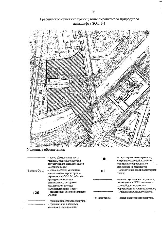
"Об установлении зон охраны объекта культурного наследия регионального историко-культурного значения "Александровский мост", 1954 г., расположенного по адресу: Орловская область, г. Орёл"
Номер опубликования: 5700202206240005
Дата опубликования: 24.06.2022
Страница №25 из 34:
Увеличить