Официальное опубликование правовых актов
ОФИЦИАЛЬНОЕ ОПУБЛИКОВАНИЕ
Постановление Правительства Орловской области от 09.07.2020 № 444
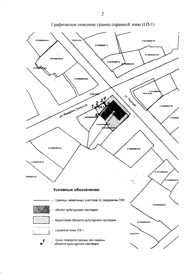
"Об установлении зон охраны объекта культурного наследия регионального значения "Дом, в котором жил востоковед, академик Конрад Николай Иосифович", 1918–1919 гг., расположенного по адресу: г. Орёл, ул. Панчука, д. 55"
Номер опубликования: 5700202007140008
Дата опубликования: 14.07.2020
Страница №9 из 16:
Увеличить