Официальное опубликование правовых актов
ОФИЦИАЛЬНОЕ ОПУБЛИКОВАНИЕ
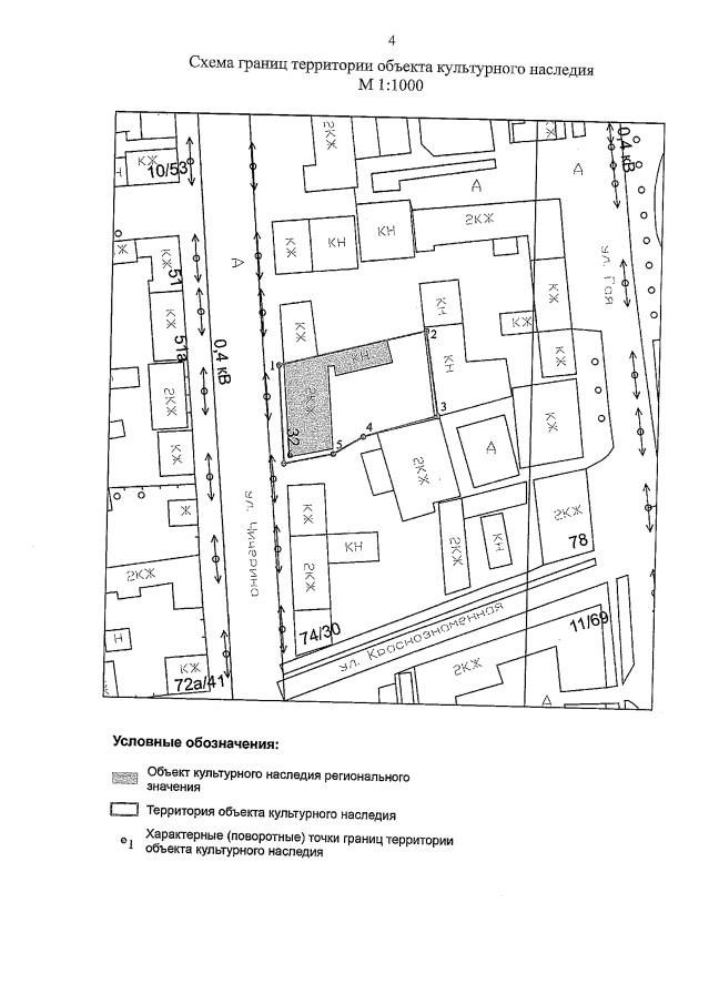
Приказ Инспекции государственной охраны объектов культурного наследия Оренбургской области от 02.06.2022 № 01-08-163
"Об утверждении границ территории объекта культурного наследия регионального значения (вид – памятник) "Номера П.С. Коробкова", начало XIX в., и режима использования данной территории"
Номер опубликования: 5601202206060032
Дата опубликования: 06.06.2022
Страница №4 из 7:
Увеличить