Официальное опубликование правовых актов
ОФИЦИАЛЬНОЕ ОПУБЛИКОВАНИЕ
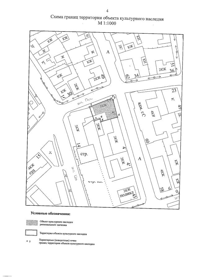
Приказ Инспекции государственной охраны объектов культурного наследия Оренбургской области от 03.06.2022 № 01-08-178
"Об утверждении границ территории объекта культурного наследия регионального значения (вид – памятник) "Дом торговый. Модерн", второе десятилетие XX века, и режима использования данной территории"
Номер опубликования: 5601202206060004
Дата опубликования: 06.06.2022
Страница №4 из 7:
Увеличить