Приказ Инспекции государственной охраны объектов культурного наследия Оренбургской области от 31.05.2022 № 01-08-151
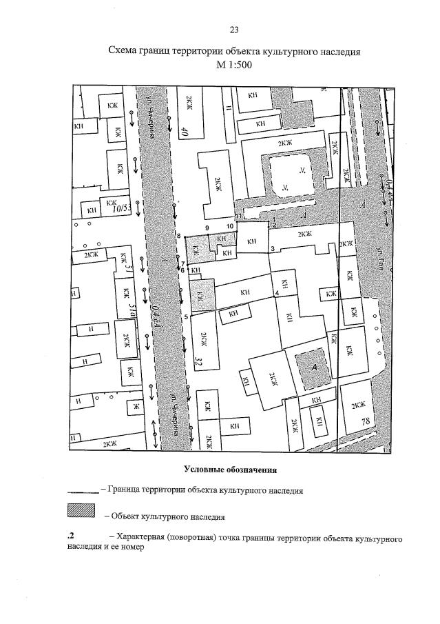
"Об утверждении предмета охраны и границ территории объекта культурного наследия регионального значения (вид- ансамбль) "Усадьба городская В.С. Есенкова", начало XX века"
"Об утверждении предмета охраны и границ территории объекта культурного наследия регионального значения (вид- ансамбль) "Усадьба городская В.С. Есенкова", начало XX века"
Номер опубликования: 5601202205310007
Дата опубликования:
31.05.2022
