Официальное опубликование правовых актов
ОФИЦИАЛЬНОЕ ОПУБЛИКОВАНИЕ
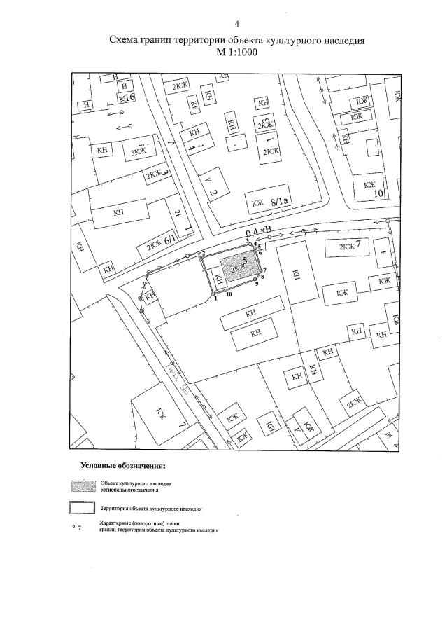
Приказ Инспекции государственной охраны объектов культурного наследия Оренбургской области от 31.05.2022 № 01-08-152
"Об утверждении границ территории объекта культурного наследия регионального значения (вид – памятник) "Дом городской усадьбы. Эклектика с богатым лепным декором", конец XIX века, и режима использования данной территории"
Номер опубликования: 5601202205310001
Дата опубликования: 31.05.2022
Страница №4 из 7:
Увеличить