Постановление Правительства Новосибирской области от 08.07.2020 № 273-п
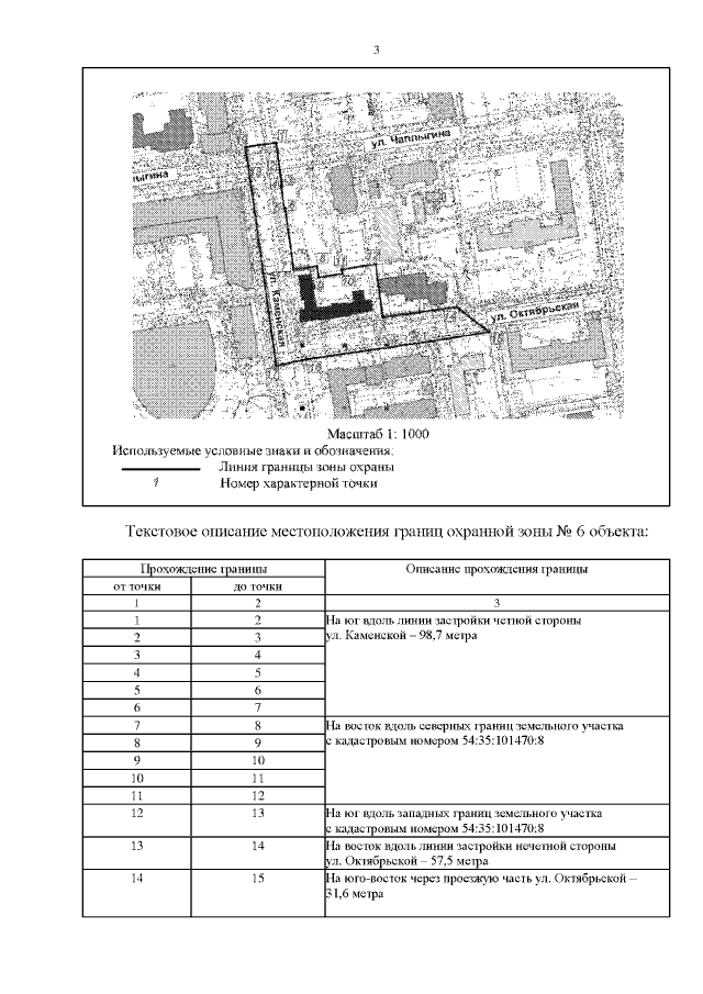
"Об изменении зон охраны и утверждении требований к градостроительным регламентам в границах данных зон объекта культурного наследия регионального значения "Дом жилой "Союззолото", расположенного по адресу: г. Новосибирск, ул. Каменская, 16 (ул. Октябрьская, 79), и о внесении изменений в постановление администрации Новосибирской области от 15.02.2010 № 46-па"
"Об изменении зон охраны и утверждении требований к градостроительным регламентам в границах данных зон объекта культурного наследия регионального значения "Дом жилой "Союззолото", расположенного по адресу: г. Новосибирск, ул. Каменская, 16 (ул. Октябрьская, 79), и о внесении изменений в постановление администрации Новосибирской области от 15.02.2010 № 46-па"
Номер опубликования: 5400202007090007
Дата опубликования:
09.07.2020
