Приказ Министерства градостроительной деятельности и развития агломераций Нижегородской области от 03.04.2025 № 07-02-03/33
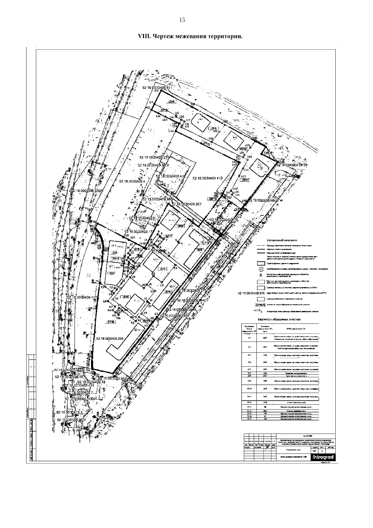
"Об утверждении документации по планировке территории (проекта планировки территории, включая проект межевания территории) по улице Сергея Акимова в Канавинском районе города Нижнего Новгорода"
(Зарегистрирован 14.04.2025 № 27964-330-007-02-03/33)
"Об утверждении документации по планировке территории (проекта планировки территории, включая проект межевания территории) по улице Сергея Акимова в Канавинском районе города Нижнего Новгорода"
(Зарегистрирован 14.04.2025 № 27964-330-007-02-03/33)
Номер опубликования: 5201202504170007
Дата опубликования:
17.04.2025
