Приказ Министерства градостроительной деятельности и развития агломераций Нижегородской области от 10.02.2025 № 07-02-03/11
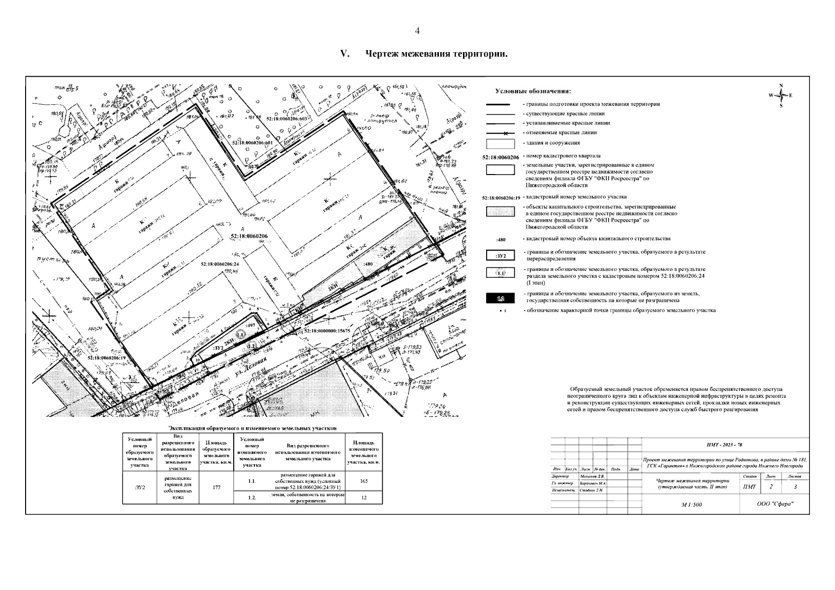
"Об утверждении проекта межевания территории по улице Родионова, в районе дома № 181, ГСК "Гарантия" в Нижегородском районе города Нижнего Новгорода"
(Зарегистрирован 10.03.2025 № 27767-330-007-02-03/11)
"Об утверждении проекта межевания территории по улице Родионова, в районе дома № 181, ГСК "Гарантия" в Нижегородском районе города Нижнего Новгорода"
(Зарегистрирован 10.03.2025 № 27767-330-007-02-03/11)
Номер опубликования: 5201202503120002
Дата опубликования:
12.03.2025
