Официальное опубликование правовых актов
ОФИЦИАЛЬНОЕ ОПУБЛИКОВАНИЕ
Приказ Министерства градостроительной деятельности и развития агломераций Нижегородской области от 20.01.2025 № 07-02-03/1
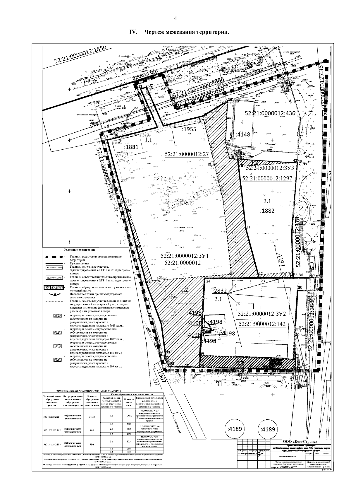
"Об утверждении проекта межевания территории по Игумновскому шоссе в районе дома № 3 в городском округе город Дзержинск Нижегородской области"
(Зарегистрирован 17.02.2025 № 27622-330-007-02-03/1)
Номер опубликования: 5201202502190008
Дата опубликования: 19.02.2025
Страница №6 из 7:
Увеличить