Официальное опубликование правовых актов
ОФИЦИАЛЬНОЕ ОПУБЛИКОВАНИЕ
Приказ Министерства градостроительной деятельности и развития агломераций Нижегородской области от 20.01.2025 № 07-02-03/2
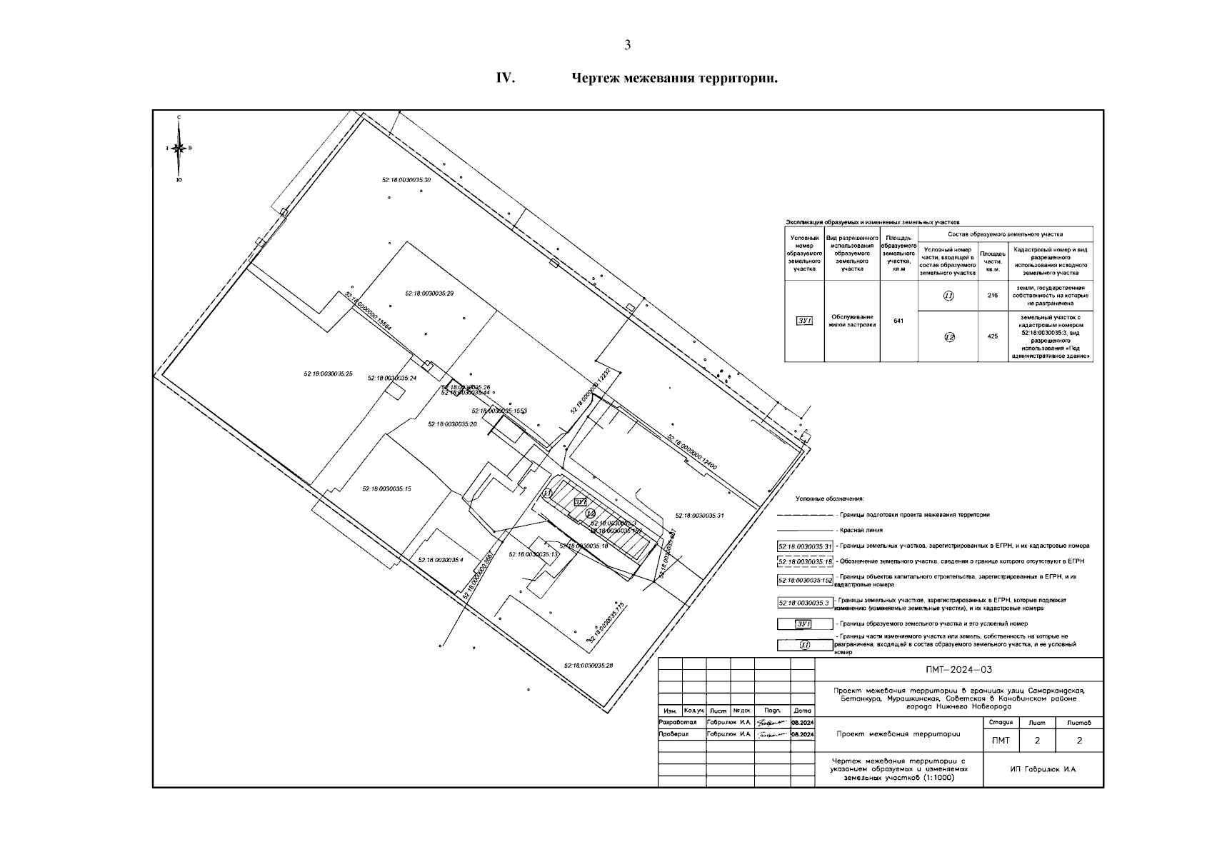
"Об утверждении документации по внесению изменений в проект межевания территории в границах улиц Самаркандская, Бетанкура, Мурашкинская, Советская в Канавинском районе города Нижнего Новгорода"
(Зарегистрирован 17.02.2025 № 27623-330-007-02-03/2)
Номер опубликования: 5201202502190005
Дата опубликования: 19.02.2025
Страница №5 из 6:
Увеличить