Официальное опубликование правовых актов
ОФИЦИАЛЬНОЕ ОПУБЛИКОВАНИЕ
Приказ Министерства градостроительной деятельности и развития агломераций Нижегородской области от 24.07.2024 № 07-02-03/60
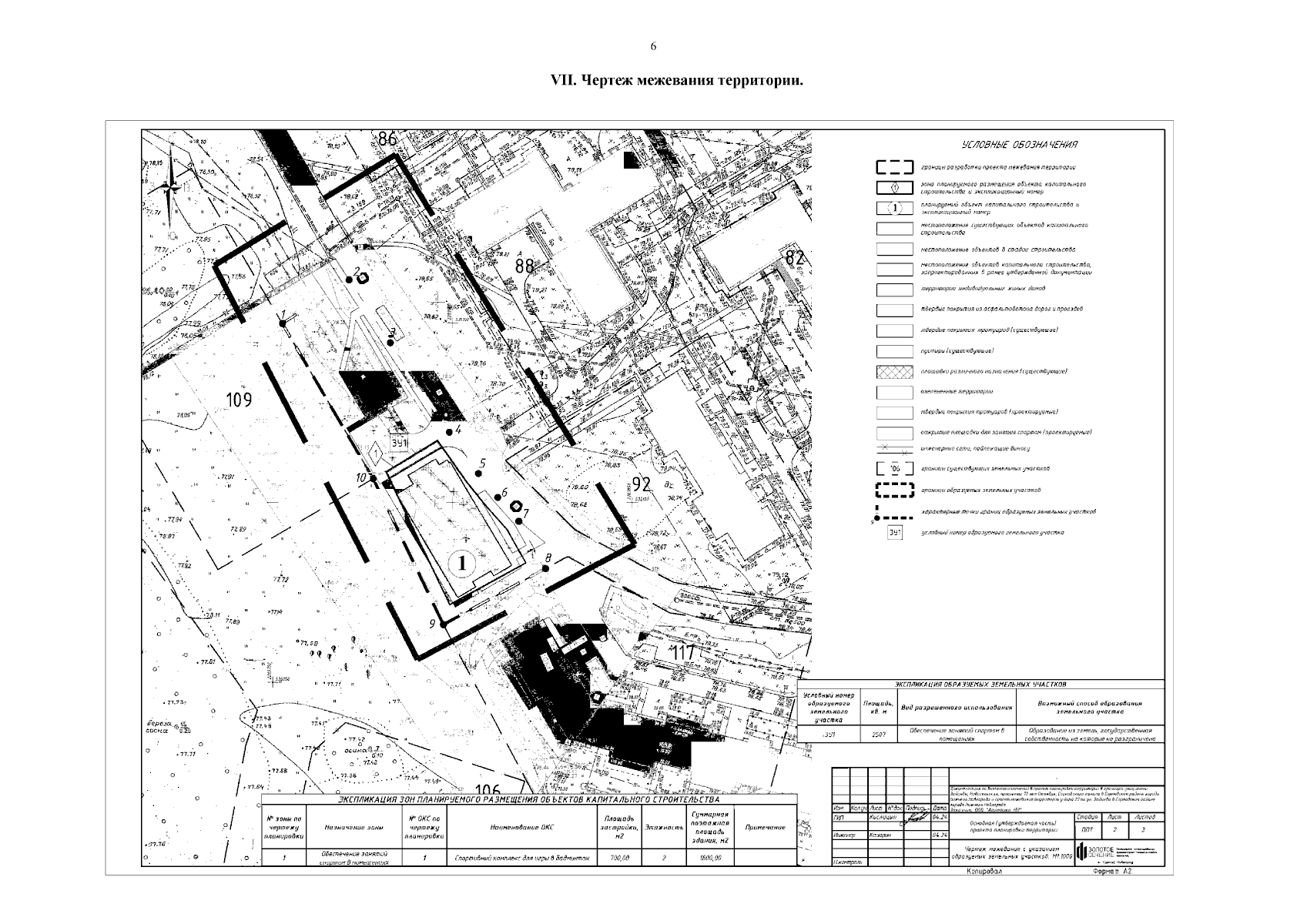
"Об утверждении документации по внесению изменений в проект планировки территории в границах улиц имени Зайцева, Новосельская, проспекта 70 лет Октября, Сормовского канала в Сормовском районе города Нижнего Новгорода и проекта межевания территории у дома 23 по ул. Зайцева в Сормовском районе города Нижнего Новгорода"
(Зарегистрирован 23.09.2024 № 26366-330-007-02-03/60)
Номер опубликования: 5201202409250005
Дата опубликования: 25.09.2024
Страница №8 из 8:
Увеличить