Приказ Управления государственной охраны объектов культурного наследия Нижегородской области от 12.09.2024 № 203
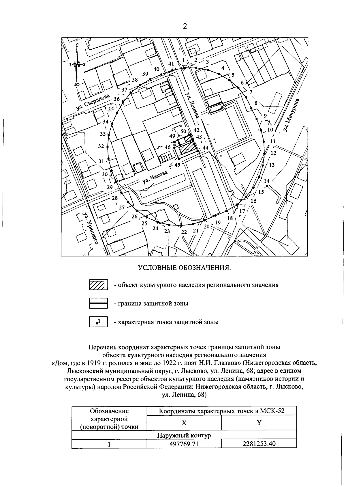
"Об утверждении описания местоположения границы защитной зоны объекта культурного наследия регионального значения "Дом, где в 1919 г. родился и жил до 1922 г. поэт Н.И. Глазков" (Нижегородская область, Лысковский муниципальный округ, г. Лысково, ул. Ленина, 68), режима использования земель в границе защитной зоны объекта культурного наследия"
(Зарегистрирован 23.09.2024 № 26351-518-203)
"Об утверждении описания местоположения границы защитной зоны объекта культурного наследия регионального значения "Дом, где в 1919 г. родился и жил до 1922 г. поэт Н.И. Глазков" (Нижегородская область, Лысковский муниципальный округ, г. Лысково, ул. Ленина, 68), режима использования земель в границе защитной зоны объекта культурного наследия"
(Зарегистрирован 23.09.2024 № 26351-518-203)
Номер опубликования: 5201202409250003
Дата опубликования:
25.09.2024
