Официальное опубликование правовых актов
ОФИЦИАЛЬНОЕ ОПУБЛИКОВАНИЕ
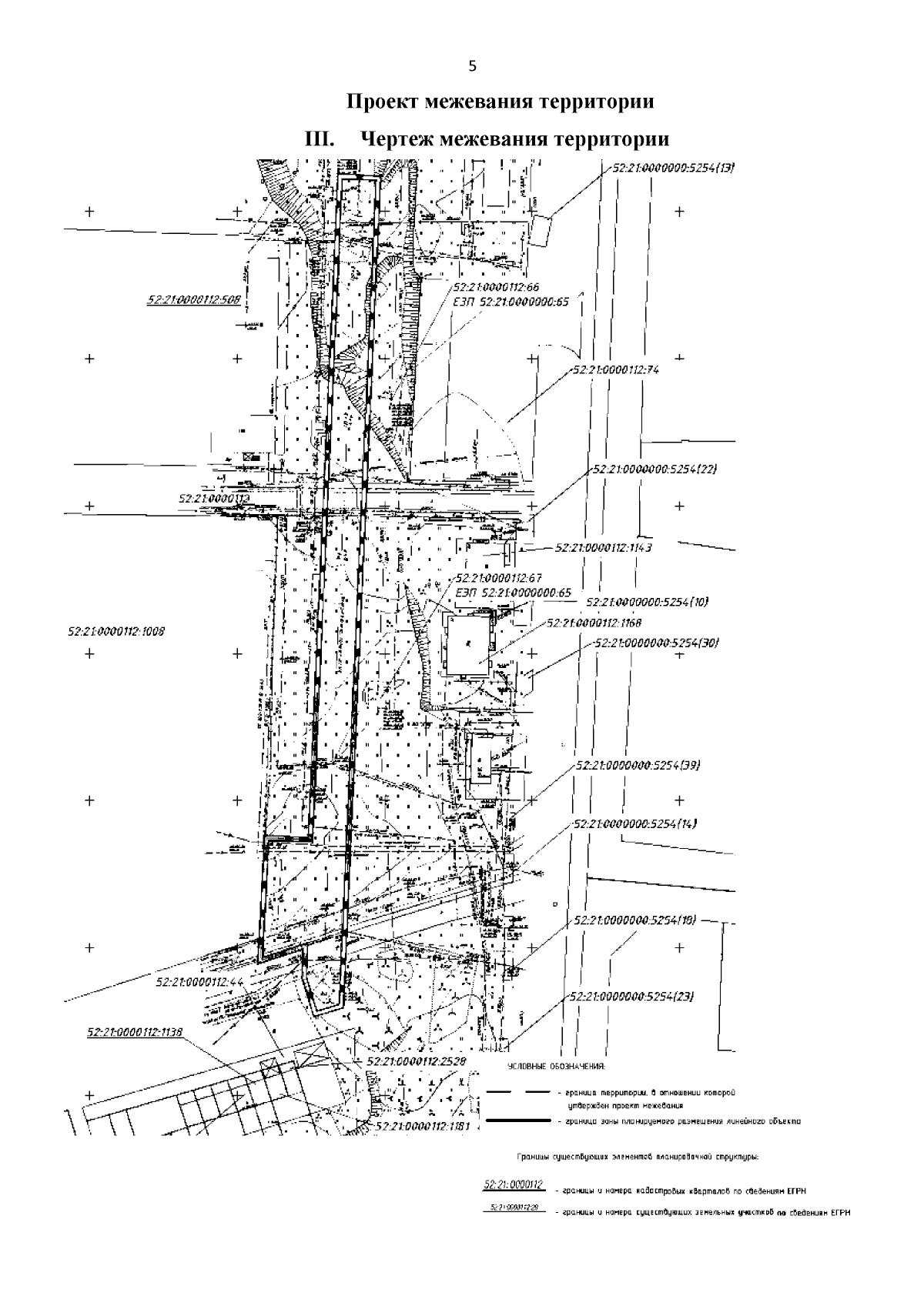
Приказ Министерства градостроительной деятельности и развития агломераций Нижегородской области от 15.08.2024 № 06-01-03/33
"Об утверждении документации по планировке территории (проект планировки и межевания территории), расположенной в границах городского округа города Дзержинск Нижегородской области"
(Зарегистрирован 29.08.2024 № 26226-330-006-01-03/33)
Номер опубликования: 5201202408300002
Дата опубликования: 30.08.2024
Страница №7 из 9:
Увеличить