Официальное опубликование правовых актов
ОФИЦИАЛЬНОЕ ОПУБЛИКОВАНИЕ
Приказ Министерства градостроительной деятельности и развития агломераций Нижегородской области от 31.08.2023 № 07-02-03/88
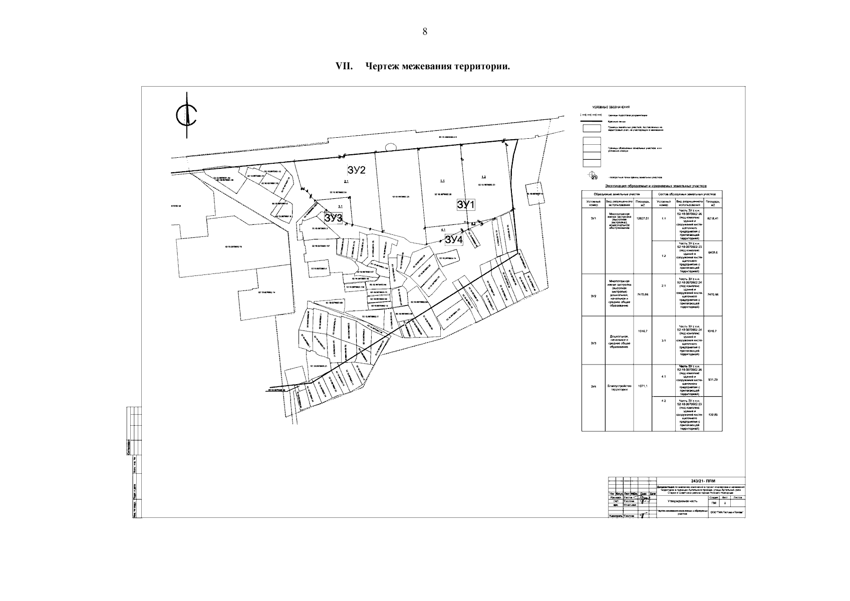
"Об утверждении документации по внесению изменений в проект планировки и межевания территории в границах Артельного проезда, улицы Артельная, реки Старка в Советском районе города Нижнего Новгорода"
(Зарегистрирован 20.09.2023 № 23691-330-007-02-03/88)
Номер опубликования: 5201202309220007
Дата опубликования: 22.09.2023
Страница №10 из 11:
Увеличить