Официальное опубликование правовых актов
ОФИЦИАЛЬНОЕ ОПУБЛИКОВАНИЕ
Приказ Министерства градостроительной деятельности и развития агломераций Нижегородской области от 26.06.2023 № 07-02-03/67
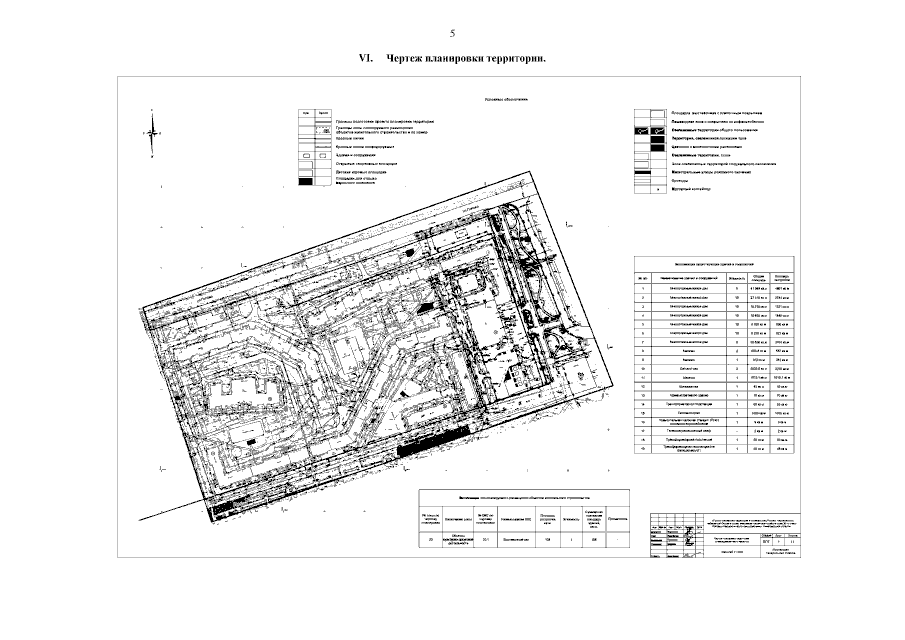
"Об утверждении проекта планировки территории в границах улиц Попова, Черняховского, набережной Окская и проекта межевания территории в районе дома 36 по улице Попова в городском округе город Дзержинск Нижегородской области"
(Зарегистрирован 24.07.2023 № 23418-330-007-02-03/67)
Номер опубликования: 5201202307270006
Дата опубликования: 27.07.2023
Страница №7 из 8:
Увеличить