Официальное опубликование правовых актов
ОФИЦИАЛЬНОЕ ОПУБЛИКОВАНИЕ
Приказ Министерства градостроительной деятельности и развития агломераций Нижегородской области от 01.06.2023 № 07-02-03/52
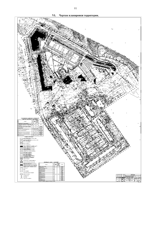
"Об утверждении документации по внесению изменений в проект планировки территории в границах улиц Родионова, Северо-Восточная и проект межевания территории по улице Северо-Восточная в Нижегородском районе города Нижнего Новгорода"
(Зарегистрирован 28.06.2023 № 23255-330-007-02-03/52)
Номер опубликования: 5201202307030002
Дата опубликования: 03.07.2023
Страница №13 из 15:
Увеличить