Приказ Министерства градостроительной деятельности и развития агломераций Нижегородской области от 07.03.2023 № 07-02-03/22
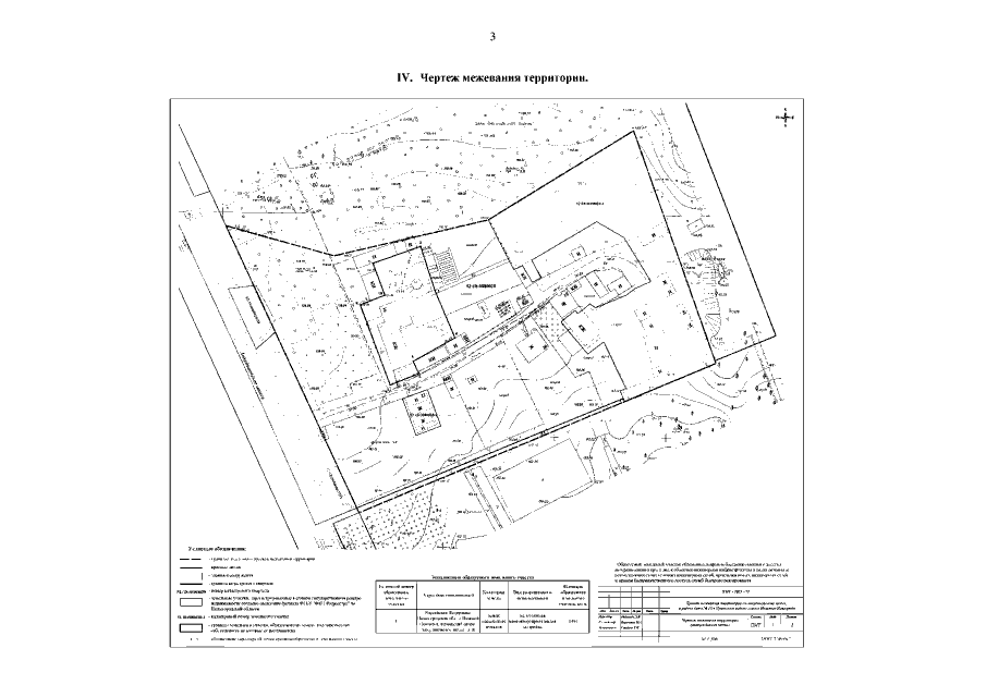
"Об утверждении проекта межевания территории по Анкудиновскому шоссе, в районе дома № 16 в Приокском районе города Нижнего Новгорода"
(Зарегистрирован 27.03.2023 № 22759-330-007-02-03/22)
"Об утверждении проекта межевания территории по Анкудиновскому шоссе, в районе дома № 16 в Приокском районе города Нижнего Новгорода"
(Зарегистрирован 27.03.2023 № 22759-330-007-02-03/22)
Номер опубликования: 5201202303290008
Дата опубликования:
29.03.2023
