Официальное опубликование правовых актов
ОФИЦИАЛЬНОЕ ОПУБЛИКОВАНИЕ
Приказ Министерства градостроительной деятельности и развития агломераций Нижегородской области от 21.12.2022 № 06-01-03/69
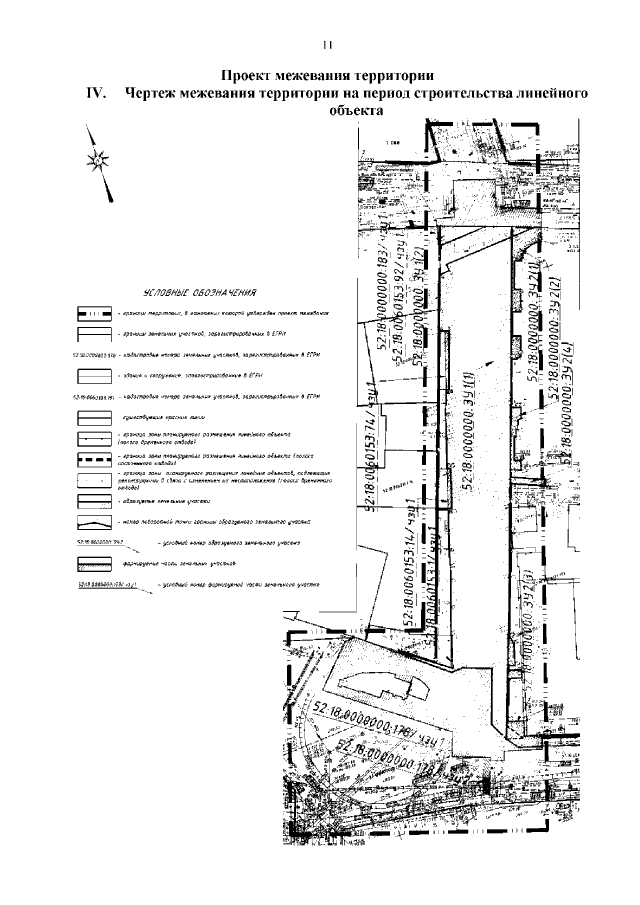
"Об утверждении документации по планировке территории, расположенной по ул. Обозная от ул. М. Покровская до ул. Маслякова в Нижегородском районе города Нижнего Новгорода"
(Зарегистрирован 25.01.2023 № 22421-330-006-01-03/69)
Номер опубликования: 5201202301270006
Дата опубликования: 27.01.2023
Страница №13 из 21:
Увеличить