Официальное опубликование правовых актов
ОФИЦИАЛЬНОЕ ОПУБЛИКОВАНИЕ
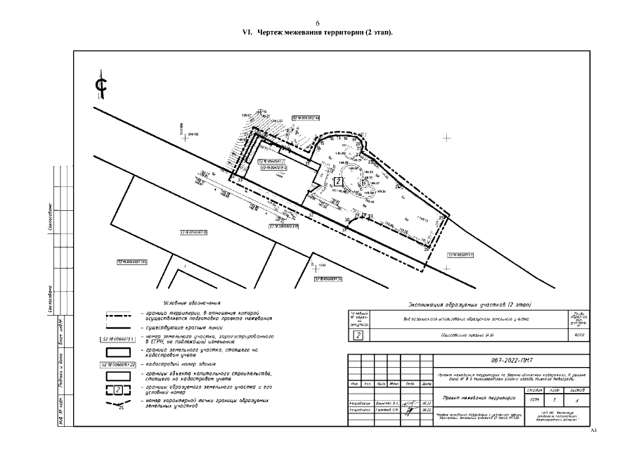
Приказ Министерства градостроительной деятельности и развития агломераций Нижегородской области от 26.09.2022 № 07-02-03/91 "Об утверждении проекта межевания территории по Верхне-Волжской набережной, в районе дома № 8 в Нижегородском районе города Нижнего Новгорода"
(Зарегистрирован 17.10.2022 № 21172-330-007-02-03/91)
Номер опубликования: 5201202210190009
Дата опубликования: 19.10.2022
Страница №8 из 8:
Увеличить