Официальное опубликование правовых актов
ОФИЦИАЛЬНОЕ ОПУБЛИКОВАНИЕ
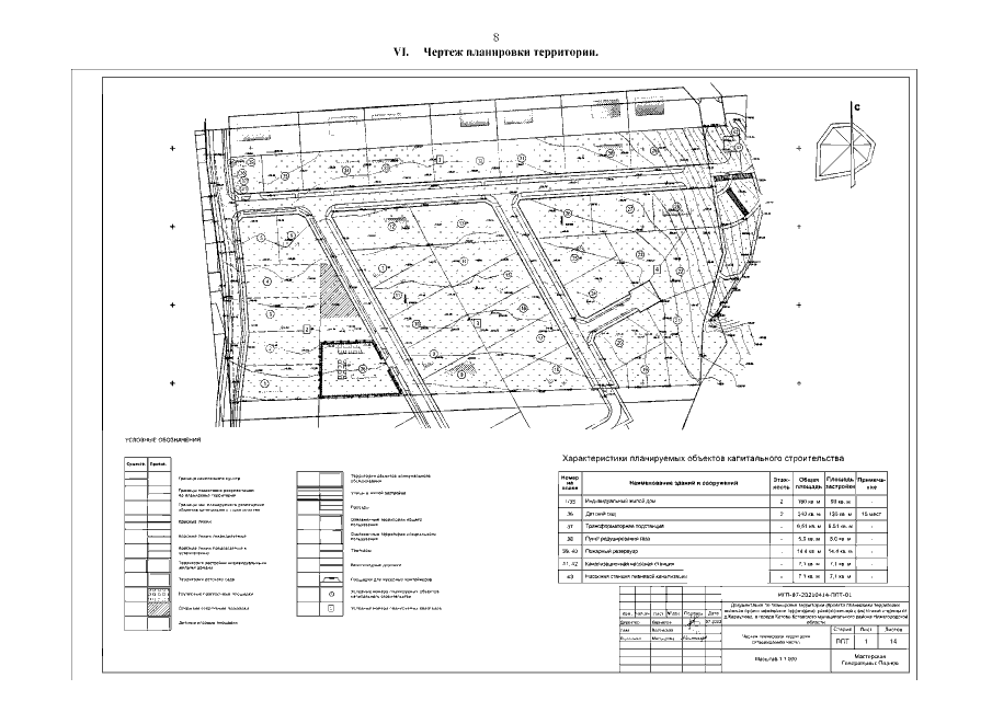
Приказ Министерства градостроительной деятельности и развития агломераций Нижегородской области от 13.09.2022 № 07-02-03/89 "Об утверждении документации по планировке территории (проекта планировки территории, включая проект межевания территории), расположенной с восточной стороны от д.Караулово, в городе Кстово Кстовского муниципального района Нижегородской области"
(Зарегистрирован 28.09.2022 № 21086-330-007-02-03/89)
Номер опубликования: 5201202209300003
Дата опубликования: 30.09.2022
Страница №10 из 11:
Увеличить