Официальное опубликование правовых актов
ОФИЦИАЛЬНОЕ ОПУБЛИКОВАНИЕ
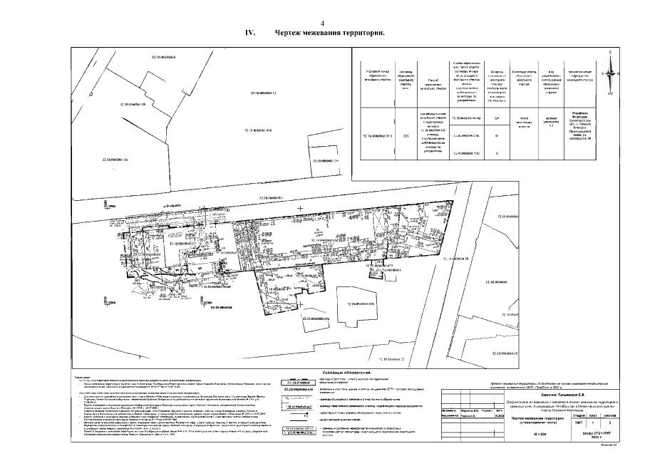
Приказ Министерства градостроительной деятельности и развития агломераций Нижегородской области от 12.08.2022 № 07-02-03/80 "Об утверждении документации по внесению изменений в проект межевания территории в границах улиц Алексеевская, Октябрьская в Нижегородском районе города Нижнего Новгорода"
(Зарегистрирован 05.09.2022 № 20927-330-007-02-03/80)
Номер опубликования: 5201202209070010
Дата опубликования: 07.09.2022
Страница №6 из 6:
Увеличить