Официальное опубликование правовых актов
ОФИЦИАЛЬНОЕ ОПУБЛИКОВАНИЕ
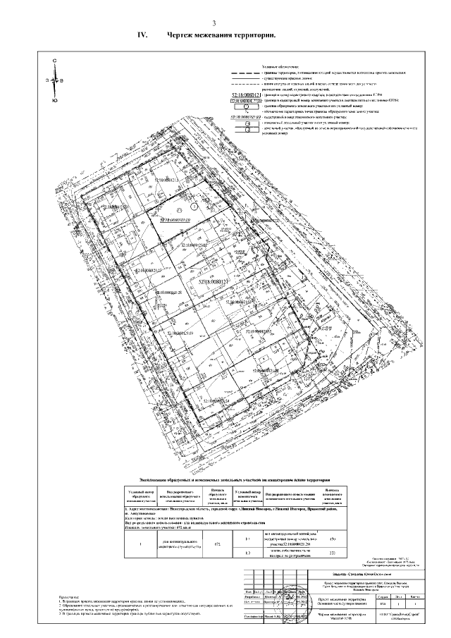
Приказ Министерства градостроительной деятельности и развития агломераций Нижегородской области от 29.07.2022 № 07-02-03/70 "Об утверждении проекта межевания территории в границах улиц Спасская, Вадская, Героя Якушенко и Анкудиновское шоссе в Приокском районе города Нижнего Новгорода"
(Зарегистрирован 22.08.2022 № 20863-330-007-02-03/70)
Номер опубликования: 5201202208250014
Дата опубликования: 25.08.2022
Страница №5 из 5:
Увеличить