Официальное опубликование правовых актов
ОФИЦИАЛЬНОЕ ОПУБЛИКОВАНИЕ
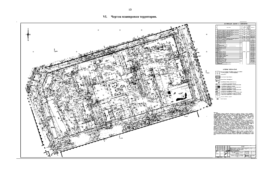
Приказ Министерства градостроительной деятельности и развития агломераций Нижегородской области от 16.06.2022 № 07-02-03/52 "Об утверждении документации по внесению изменений в проект планировки и межевания территории в границах улиц Октябрьской Революции, Менделеева, Журова, переулка Сивашский в Канавинском районе города Нижнего Новгорода"
(Зарегистрирован 06.07.2022 № 20578-330-007-02-03/52)
Номер опубликования: 5201202207070004
Дата опубликования: 07.07.2022
Страница №12 из 14:
Увеличить