Официальное опубликование правовых актов
ОФИЦИАЛЬНОЕ ОПУБЛИКОВАНИЕ
Приказ Министерства градостроительной деятельности и развития агломераций Нижегородской области от 28.12.2021 № 07-02-03/117
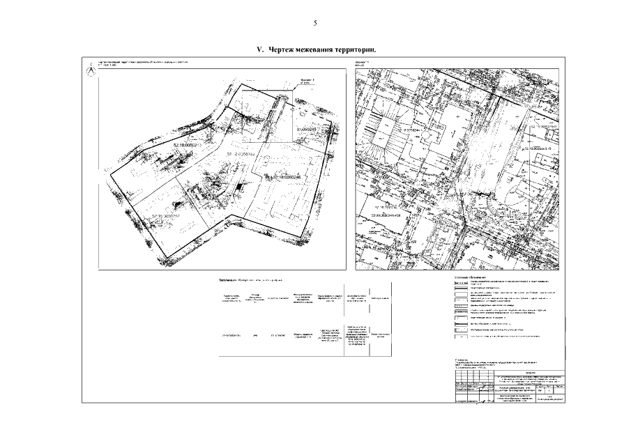
"Об утверждении документации по внесению изменений в проект межевания территории в границах улиц Космонавта Комарова, Памирская, Баумана, Правдинская, бульвара Заречный, реки Ржавка в Ленинском районе города Нижнего Новгорода"
(Зарегистрирован 26.01.2022 № 19152-330-007-02-03/117)
Номер опубликования: 5201202201290007
Дата опубликования: 29.01.2022
Страница №7 из 7:
Увеличить