Официальное опубликование правовых актов
ОФИЦИАЛЬНОЕ ОПУБЛИКОВАНИЕ
Приказ Министерства градостроительной деятельности и развития агломераций Нижегородской области от 02.12.2021 № 07-02-03/101
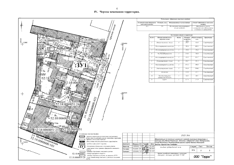
"Об утверждении документации по внесению изменений в проект межевания территории в границах улиц Малая Покровская, Заломова, набережной имени Федоровского, улицы Ильинская в Нижегородском районе города Нижнего Новгорода"
(Зарегистрирован 22.12.2021 № 18813-330-007-02-03/101)
Номер опубликования: 5201202112240021
Дата опубликования: 24.12.2021
Страница №6 из 6:
Увеличить