Официальное опубликование правовых актов
ОФИЦИАЛЬНОЕ ОПУБЛИКОВАНИЕ
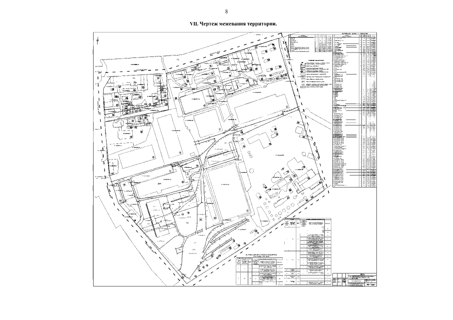
Приказ Министерства градостроительной деятельности и развития агломераций Нижегородской области от 02.11.2021 № 07-02-03/89 "Об утверждении документации по внесению изменений в проект планировки и межевания территории в границах Московское шоссе, Комсомольское шоссе, улицы Николая Пахомова, шоссе Жиркомбината в Канавинском районе города Нижнего Новгорода"
(Зарегистрирован 29.11.2021 № 18405-330-007-02-03/89)
Номер опубликования: 5201202112010003
Дата опубликования: 01.12.2021
Страница №10 из 11:
Увеличить